식물종합병원

진단 및 처방

sicknsinflist

진단 및 처방

복숭아명나방
과수 > > 충해

증상

해충

도감정보

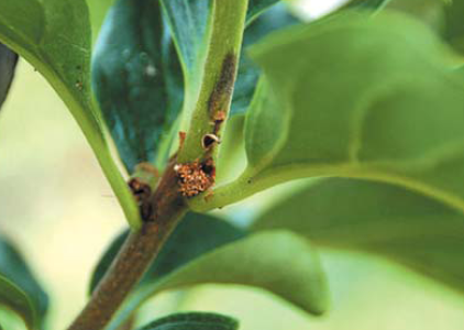
복숭아명나방

영문명 : Peach pyralid moth

식물명 : 감

1. 학명 : Dichocrocis punctiferalis

 

2. 피해와 진단

유충이 복숭아, , , 자두, 살구, 사과, 석류 등의 과실을 주로 가해하는 심식충이지만 경우에 따라서는 나무의 신초도 먹어 들어감

과실 표면에서 과육을 파먹어 들어가며, 실을 토해 묶어서 적갈색의 똥을 입구에 배출하고 피해과는 곧 낙과되지 않고 가지에 붙어 있는 경우가 많으므로 구별하기 쉬움

 

3. 형 태

성충은 황갈색인데 앞날개와 뒷날개에 검은점이 흩어져 있고 몸길이는 15mm 가량이며, 가슴과 배에 검은 반점이 있음

유충의 크기는 25mm 정도이고 몸은 암갈색이며, 배쪽은 담록색이고 각 마디에 몇 개의 검은점과 긴 털이 있음

 

4. 생 태

1년에 2회 발생하고 다 자란 유충으로 나무껍질 사이의 엉성한 고치 속에서 월동

1회 성충은 6~7월에 나타나며 과실 표면에 산란하고 부화한 유충이 과실 속으로 먹어 들어가 과실의 표면에 암갈색의 똥과 즙액을 배출함

유충 1마리가 여러 개의 과실을 가해하며, 다 자라게 되면 피해과를 모아 둔 곳이나 나무껍질 틈에 고치를 만들어 그 속에서 번데기가 되며, 유충 기간은 20일 정도임

2회 성충은 7월 하순~9월 중순까지 나타나고 두 번째 유충들은 주로 밤, , 석류를 가해함

10월경 노숙 유충이 되면 나무껍질 틈에 고치를 만들고 그 속에서 월동

 

5. 방제방법

피해과와 거친 나무 껍질과 같은 월동 장소를 제거함

등록된 약제는 없으므로 감꼭지나방 약제로 같이 방제함

가능약제 : 장원(3a), 데시스,(3a) 화스탁(3a), 옥타브(15+3a), 알리세(28+22a), 스토네트(3a+4a), 길라자비(3a+15), 타스타(3a)