식물종합병원

진단 및 처방

sicknsinflist

진단 및 처방

대추 탄저병
과수 > 대추 > 병해

증상

병원균

도감정보

대추 탄저병

영문명 : Anthracnose

식물명 : 대추

1. 병원균 : Glomerella cingulata (불완전세대 : Collectotrichum gloeosporioides)

자낭균에 속하며, 자낭각은 흑색, 구형 내지 플라스크형, 직경 250~320, 자낭은 곤봉형, 크기 50~110×8~10, 자낭포자는 무색, 단세포, 약간 구부러진 방추형, 크기 12~28×4~7

분생포자는 무색, 단세포, 타원형 또는 원통형, 크기 12~22×4~7

 

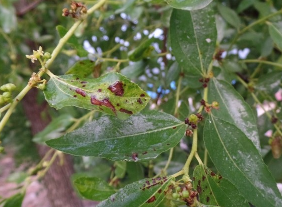
2. 병징과 진단

과실과 꽃, 잎에 발생함

과실에는 처음 적갈색의 작은 반점이 나타나고 점차 진전되면 병반 중앙이 함몰되며, 담홍색의 포자퇴가 누출되고 심하면 과일 전체가 쭈글어 들고 미이라가 되어 나무에 매달려 있음

잎에는 적갈색 원형반점이 나타나고 진전되면 중앙은 점차 회갈색으로 변하며, 심하면 잎이 찢어져 지저분해짐

화기로 감염될 경우 꽃이 갈변하고 낙화하며, 총채벌레 피해로 오인함

 

3. 발생시기 및 발생조건

기주 범위가 넓어 다른 잡목이나 잡초에서 전염될 가능성이 많으며, 미이라가 된 과실이나 잎 줄기에서 분생포자의 형태로 월동하여 다음해 1차전염원이 됨

다습하고 장마가 긴 해에 발생이 많음

 

4. 방제방법

병든 열매는 발견 즉시 제거하여 땅에 묻거나 소각함

물빠짐을 좋게 하고 질소비료의 과용을 금하며, 특히 사과, 복숭아에 탄저병 피해가 많으므로 대추나무 주변에 같이 재배하지 않도록 관리함

장마 전후 예방적으로 방제하며, 발생초기 적용약제를 10일 간격으로 2~3방제함

6월 하순부터 방제하는 것이 가장 효과적인 것으로 알려져 있으나 개화기에 감염되어 과실비대 시에 발병되는 것으로 조사되어 개화기에 집중적으로 방제가 실시되어야 발생을 줄일 수 있음