식물종합병원

진단 및 처방

sicknsinflist

진단 및 처방

애무늬고리장님노린재
과수 > 복숭아 > 충해

증상

해충

도감정보

애무늬고리장님노린재

영문명 : Pale green plant bug

식물명 : 복숭아

1. 학명 : Apolygus spinolae

 

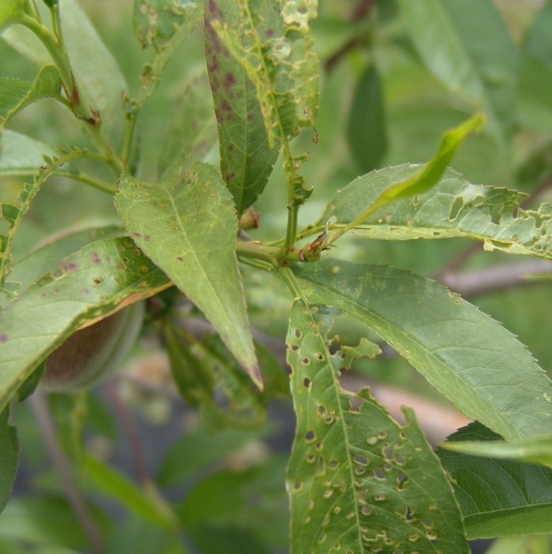
2. 피해와 진단

주로 어린 잎의 잎자루 부위를 중심으로 가해하여 초기에는 흡즙한 부위의 세포가 죽어 바늘로 찌른 듯 갈변하고 잎이 자라면서 흡즙 부위는 크게 구멍이 생기고 전체 잎은 너덜너덜해지거나 기형이 됨

과실을 흡즙하면 처음에는 털이 빠진 것 같이 갈색으로 변했다가 후에 코르크화 됨

 

3. 형 태

성충은 4~6mm이고 담녹색의 타원형으며, 등쪽 날개부분에 노린재의 특징인 X자형 무늬가 있고 끝 쪽에 막질의 날개가 나와 있음

알에서 부화한 약충은 약 1mm이고, 중간 약충은 2~3mm, 다 자라면 4mm 정도이며 옅은 녹색임

 

4. 생 태

연간 4~5세대 발생하는 것을 추정됨

포도, 사과, , 복숭아, 매실, 벚나무 등의 휴면 눈에서 알로 월동하고 4월 상순경에 부화함

1세 성충은 5월 하순~6월 상순, 2세대 6월 하순~7월 중순, 3세대 8월 중순, 이후 1~2세대 더 발생하며, 복숭아 피해는 1세대 성충까지이고 그 이후에는 가지나 감자 등으로 이동하여 해충을 발견하기 어려우며, 10월 중순경 복숭아로 이동하여 월동 알을 산란함

 

5. 방제방법

동 알이 부화하여 어린벌레 시기인 4월 하순~5월 상순에 노린재 전용약제로 방제하거나 심식충류 약제로 동시방제함

인접 기주식물에서 성충이 발생하여 침입하는 경우가 있으므로 5월 하순~6상순에 예찰을 철저히 함