식물종합병원

진단 및 처방

sicknsinflist

진단 및 처방

호두 갈색썩음병
과수 > 호두 > 병해

증상

병원균

도감정보

호두 갈색썩음병

영문명 : Walnut blight

식물명 : 호두

1. 병원균 : Xanthomonas arboricola pv. juglandis

 

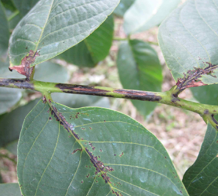
2. 병징과 진단

2014년 중국산 호두묘목 격리지에서 발생 후 2016년 안동 재배농가에서 처음 발생

봄과 초여름에 걸쳐서 잎, 신초에 갈색 내지 흑색의 병반 형성, 잎맥을 따라 흑갈색 병징 발달, 잎의 반점이 합쳐져서 기형이 되고 죽은 조직이 떨어져 나가서 감염 잎은 누더기 모양이 됨

가지에서는 흑갈색으로 말라 죽거나 흑갈색 꿰양이 발생하며, 줄기에서는 황색의 세균점액 누출, 세로로 갈라지는 궤양 발생

열매에서는 수침상 점무늬, 흑갈색 반점 발생, 조기 감염된 열매는 성숙기까지 달려 있지 못하고 낙과되며, 생육 후기에 감염되면 환경 등의 영향에 따라 병징의 정도가 상이함

 

3. 발생시기 및 발생조건

병원균은 눈, 가지 및 잔가지의 궤양 부위에서 월동

바람에 몰아치는 빗방울, 화분 및 곤충에 의해 건전한 나무로 전파되며, 전개되는 잎과 신총의 기공, 피목, 상처를 통하여 침입하고 때로는 꽃에 감염하여 개화기가 끝날 무렵에 열매로 침입하기도 함

 

4. 방제방법

병이 발생한 식물체는 뿌리까지 굴취하여 소각 · 매몰함

전정도구 등은 70% 알코올이나 10% 차아염소산나트륨 또는 락스 원액에 1분 이상 담가 충분히 소독 후 사용

등록된 약제는 없으므로 유기농자재 등을 이용하여 방제함