식물종합병원

진단 및 처방

sicknsinflist

진단 및 처방

갈색날개매미충

영문명 : X

식물명 : 블루베리

1. 학명 : Pochazia sp.

 

2. 피해와 진단

약충과 성충이 줄기, , 과실 등을 흡즙하여 반점, 황화, 낙엽화하고 배설물에 의한 그을음 증상으로 생육부진

성충이 산란한 가지는 이듬해 위축 또는 고사되며, 어린 가지에 산란된 알에 의한 가지 피해가 더 큼

 

3. 생 태

알로 월동하며, 1년에 1회 발생

5월 중하순경 부화하여 약 70(1~4) 후 성충이 됨

부화(5월 중하순) 약충(70) 성충(3개월)

성충은 8월부터 1년생 어린 가지를 중심으로 줄기에 홈을 파고 산란함

 

4. 방제방법

월동기 난괴 방제를 위해 기계유유제 살포하거나 피해가지 전지 전정 후 가지 소각

5월 중하순경 어린 약충 시기에 적용약제 등을 이용하여 2~3회 과수원, 산림 등 공동방제

월동난 50% 부화 : 발육영점온도 8.6, 유효적산온도 306.8온일도

7~9월 근처 산에서 성충이 계속 유입하므로 지속적으로 공동방제

8월 이후 포장 주변에 황색 끈끈이트랩을 2~3m 간격으로 1~1.5m 높이에 집중적으로 설치하면 대량 포획 효과가 있어 발생 밀도 조절에 도움을 줄 수 있음

약  충

약 충

   성  충

성 충

월  동  알

월 동 알

월  동  알

월 동 알

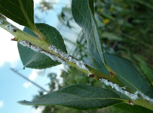
산란피해

산란피해

산란피해

산란피해