식물종합병원

진단 및 처방

sicknsinflist

진단 및 처방

고추(파프리카) 원형반점병(윤문병)

영문명 : round spot

식물명 : 고추(파프리카)

1. 병원균 : Tomato spotted wilt virus (토마토반점위조바이러스, TSWV)

 

2. 병징과 진단

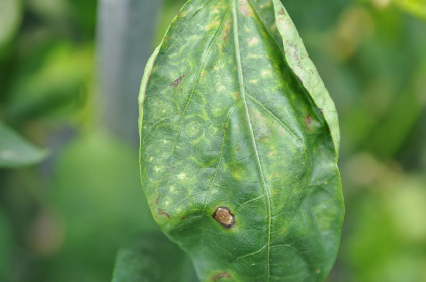
신초 부위가 위축 또는 괴사되고 심하면 작물이 고사하게 되며, 이병된 과일은 원형반문이 나타나거나 기형이 되어 상품가치가 없어짐

일반적으로 매개충이 가해한 부위에서 퇴록과 괴사병반을 일으키거나 윤문모양의 반점, 줄모양 병반, 위조, 왜소, 얼룩, 줄기 괴사 등의 병징을 보이지만 기주, 감염시기 및 온도 등 주변 환경요인에 따라 다양하게 나타남

 

3. 발생시기 및 발생조건

종자 및 접촉전염은 하지 않고 즙액전염 및 총채벌레에 의한 충매전염이 됨

꽃노랑총채벌레 등 4종의 총채벌레에 의해 영속전염 됨

국내에 보고된 기주식물은 고추, 토마토, 감자, 국화, , 땅콩, 알타리무 등 25종의 작물에서 발생하며, 중간기주로는 미국자리공, 별꽃, 쇠별꽃, 큰메꽃, 까마중, 명아주, 털쇠무릎, 계요등, 쇠비름, 박주가리 등 13종이 보고되어 있음

 

4. 방제방법

건전 종자를 이용하고 바이러스에 감염되지 않도록 건전하게 육묘함

전 작물의 잔재물을 제거하고 작물의 파종시기 및 이식시기를 조절하여, 병든 식물체는 일찍 제거함

주요 매개충인 꽃노랑총채벌레 등을 방제하기 위하여 발생 초기부터 적용약제를 사용하여 철저하게 방제함

유기농업자재(빅토리골드, 팜월드 )를 이용하여 1차 감염 예방 및 2, 3차 전염을 차단함

신초의 병징

신초의 병징

신초의 병징

신초의 병징

잎의 병징

잎의 병징

잎의 병징

잎의 병징

줄기의 병징

줄기의 병징

 과실의 병징

과실의 병징